¿No quieres ver anuncios? Regístrate...




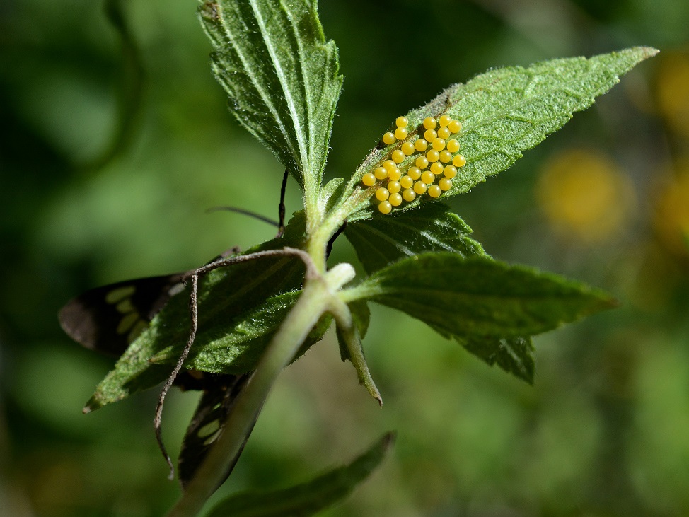
Eurata marcia


Número de Fotos: 2
Foto
ID Fotografía: 198508
Foto
ID Fotografía: 198509
Banner
Gaston Lisandro Gabinetti
Miembro
Me encanta
(0)
Me gusta
(0)

 Reportar error
Acceder a la ficha de la especie

Registro

ID Registro: 633366
Reino: Animalia
Filo / División: Arthropoda
Clase: Insecta
Orden: Lepidoptera
Familia: Erebidae
Nombre científico: Eurata marcia
Nombre en español:
Nombre en inglés:
Nombre en portugués:
Sexo: Hembra
Fase de vida: Adulto
Fecha de Registro: 13/04/2017
País: Argentina
Provincia / Departamento: Santa Fe
Localidad o área protegida: Funes
Localización detallada: Garita 18
Coordenadas - Localización detallada: -32.910118, -60.863141
Altitud - Localización detallada: 40 m s.n.m.
Precisión de la ubicación: Media
Pertenencia: Nativa
Condición: Silvestre
Certeza: Fotografiada
Información de Reproducción: No
Fecha de publicación: 14/04/2017 15:50:37

Comentarios de la comunidad

Agregar comentario: